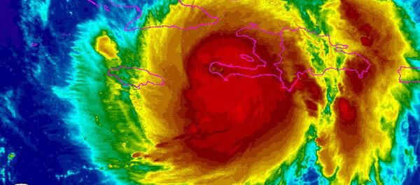
O furacão de categoria quatro já devastou a costa do Haiti, matando pelo menos quatro pessoas e colocando em risco centenas de milhares de haitianos com ventos de até 235km por hora.
Cuba, que também já foi atingida parcialmente pelo ciclone, já evacuou mais de 900 mil pessoas das regiões costeiras do leste do país, para minimizar os possíveis danos e vítimas.
Meteorologistas acreditam que ventos e chuvas torrenciais causados pelo Matthew podem resultar em milhares de mortos na região.


